樺加沙又大又強!專家封「怪物」驚:追平摩羯颱風

聽新聞
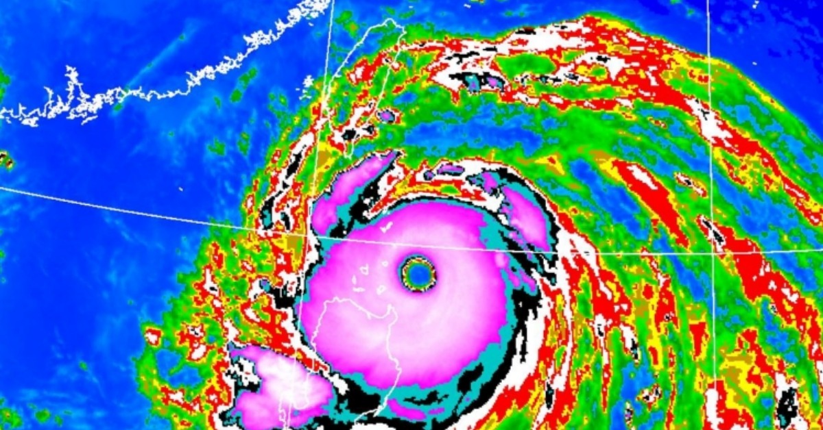
樺加沙威力仍在增強中。(圖/氣象署)
樺加沙威力仍在增強中。(圖/氣象署)

威力達到今年「風王」的強颱樺加沙,其強度在增長中。天氣風險公司資深顧問吳聖宇在臉書粉專「天氣職人-吳聖宇」示警,樺加沙不僅是難得一見的大型強烈颱風,更是「怪物等級」的風暴。

★延伸閱讀★淑麗氣象/樺加沙還在長大!這些地區防超大狂風驟雨

吳聖宇指出,樺加沙今天通過巴士海峽、恆春以南海域期間,強度可能再稍微增強,半徑也可能再稍微擴大。「所幸這種怪物等級的颱風並不會直撲台灣」,中心附近最強風雨都在海面上經過,預計路線持續偏西前進,僅暴風圈邊緣在今天中午前接觸到恆春半島陸地,後續逐漸會涵蓋到台東、屏東、高雄等地,明天上午脫離南台灣陸地,明傍晚後離開台灣附近海域,颱風警報可望解除。

不過王聖宇提醒,樺加沙的近中心最大風速,已追平去年重創海南島的摩羯颱風,目前樺加沙暴風半徑已達到320公里,是個又大又強颱風,東半部、恆春、南投高雄屏東山區將有單日豪雨或大豪雨機率,尤其今晚到明日白天颱風經過恆春以南時,可能因風向及地形影響,導致降雨可能「比颱風前半段過程的降雨更為兇猛,持續時間也更長,甚至到週三(24日)這種東南風水氣的顯著降雨在花東、恆春半島」,可能要到週四(25日)降雨才會明顯緩和。

王聖宇指出,大台北地區、嘉義以南地區近日仍可能有局部大雨,近中央山脈陵線附近深山有局部豪雨。花蓮以南、台東、恆春半島以及綠島蘭今明也要注意10-12級陣風,其中花東、恆春半島的較大雨勢甚至會延續到後天,千萬不要大意。

氣象署22日上午8時40分表示,樺加沙上午8點中心位置在北緯19.3度,東經123.1度,位於鵝鑾鼻東南方約370公里處,以每小時20公里速度,向西轉西北西進行。七級風平均暴風半徑320公里,瞬間最大陣風約每小時263公里,相當於17級風以上。

颱風襲台 樺加沙 颱風 吳聖宇 怪物
上一篇
台南「鴻品牛肉湯」盤讓藏內幕! 老闆欠債竟神隱
下一篇
樺加沙還能繼續增強!今風雨越晚越明顯 降雨熱區曝
廣告 / 請繼續往下閱讀
東森新聞 51 頻道 24 小時線上直播|Taiwan EBC 24h live news