(圖/NOAA)
強颱
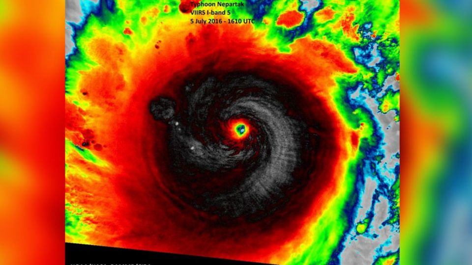
尼伯特來勢洶洶,連
CNN都相當關注,甚至稱尼伯特為「超級
颱風」,並且指出會為台灣帶來強風豪雨,此外,美國國家海洋暨大氣總署(NOAA)透過衛星拍攝的紅外線感測圖可以清楚看到尼伯特的中心雲層呈現黑色,顯示威力不容小覷。
今年第一號颱風尼伯特朝著台灣直撲而來,氣象局表示,目前尼伯特以每小時33轉29公里速度,向西北西進行,受到太平洋高壓的影響,颱風路徑往南修,依照目前的預測路徑,估計尼伯特會在宜、花登陸,週四、週五影響台灣最劇烈。
此外,氣象預報中心主任鄭明典表示,尼伯特颱風眼很清晰,颱風眼周邊雲系有一些明顯的皺褶,皺褶線條由颱風眼向外發散,等於是垂直於風向,出現這種特徵表示颱風還在發展中。

(圖/鄭明典臉書)