受到輻射冷卻影響,今(30)日清晨溫度偏低,但白天時又會恢復炎熱,各地高溫約31至35度,且台灣環境風速偏弱,擴散條件稍差,污染物稍易累積,午後受光化作用影響,臭氧濃度易上升。
▼今日各地紫外線為過量等級。(圖/翻攝自中央氣象局)

氣象局指出,今日各地大多晴到多雲,午後南部近山區的平地及其他山區有零星短暫雷陣雨,此外,東半部地區及恆春半島偶有零星短暫陣雨,明晚起水氣稍增,馬祖地區有局部短暫陣雨;至於溫度方面,清晨夜晚舒適,各地低溫約24到27度,白天偏熱,各地高溫約31至35度,提醒民眾戶外活動請適時補充水分。
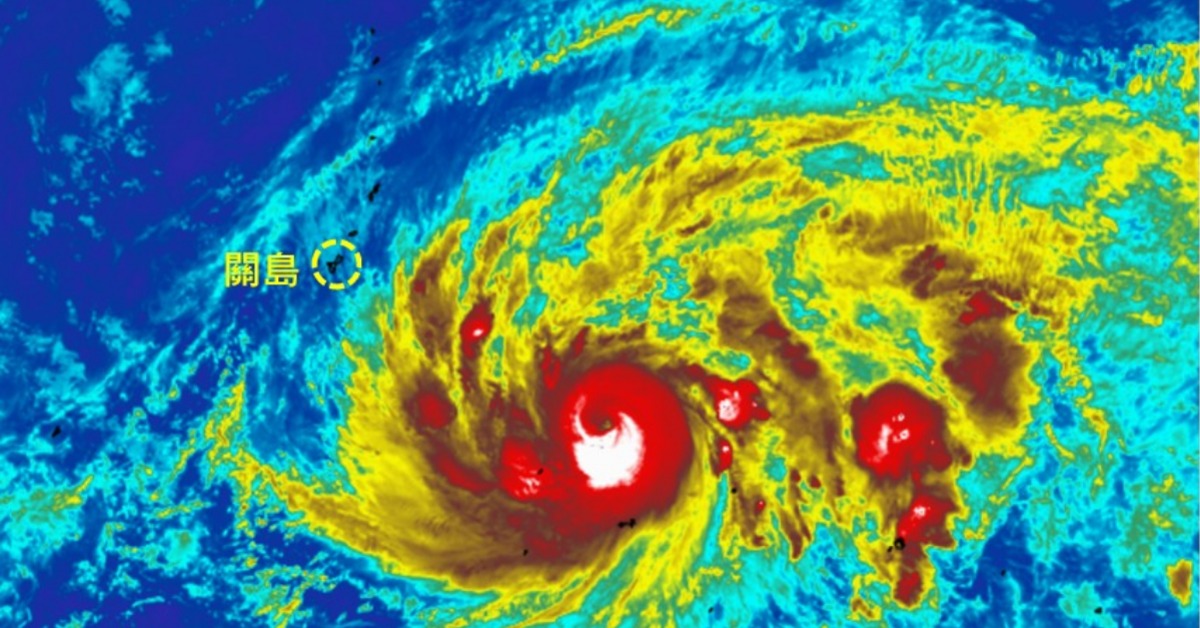
氣象專家彭啟明也提及,目前西太平洋上最強的系統蒲公英颱風,這幾天經歷了轉變強颱,減弱後又再增強,今天清晨又再減弱為中度颱風,這裡面經歷了幾次颱風發展過程中,眼牆置換的變化,預期會往日本關東附近擦邊而過,對日本無直接的影響。
▼近日台灣天氣穩定。(圖/翻攝自中央氣象局)

而台灣這幾天都在蒲公英颱風外圍偏北風到東北風,因此較為乾燥穩定,天氣晴朗,只有很零星的局部性熱對流發展。而在中國東岸有冷空氣在南下,前緣的鋒面正在東移當中,彭啟明也預期周五到周六兩天,鋒面尾巴可能掠過台灣北方海面附近,天氣會略不穩定一點,水氣會略多,午後雷陣雨發展會比較旺盛一點,「特別是周五鋒面通過時,會較不穩定,要留意容易有雷陣雨發展來,和這幾天較穩定零星陣雨不同,要等到周日系統通過後才比較穩定一些」。
至於下周的天氣,彭啟明表示,蒲公英颱風走後,高壓系統會滯留在日本韓國附近,也延伸到台灣附近,這和過去的環流型態不同,台灣會有一段較穩定的天氣型態,主要是偏東風到東北風的型態,迎風面偶有局部陣雨,主要是東部及東北部。
▼近日溫度都偏高。(圖/翻攝自中央氣象局)

不過彭啟明也說明,菲律賓東方海面到南海附近目前是低壓,有機會是季風低壓逐步發展的可能,也有機會有颱風開始醞釀發展,水氣也較多,「可能到下周末期間,也就是國慶三天連假期間,東北部及東半部的風勢及水氣也會逐步增多,會有些地形陣雨發展起來,西半部則較為穩定,都仍是穩定的炎熱天氣,「雖然這當中有機會有颱風發展起來,不過現在說如何還太早,在沒有熱帶性低氣壓發展前,說颱風路徑如何都是充滿許多變數,不確性很高」。
(封面圖/翻攝自中央氣象局)