中央氣象署今(22)日16時50分,針對14縣市發布豪雨特報,提醒民眾留意雨勢。
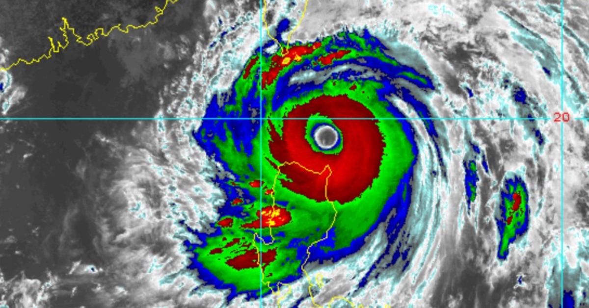
中央氣象署表示,第18號颱風及其外圍環流影響,易有短延時強降雨,今日晚至明日花蓮縣山區及台東縣山區有局部大豪雨或超大豪雨,花蓮縣地區、台東縣地區及高雄市山區,屏東縣山區有局部豪雨或大豪雨,宜蘭縣地區、恆春半島及蘭嶼、綠島有局部大雨或豪雨,大台北地區、南部地區及桃園、新竹、台中、南投、嘉義山區有局部大雨發生的機率,請注意雷擊及強陣風,山區嚴防坍方、落石、土石流及山洪暴發,低窪地區請慎防積淹水。超大豪雨地區:花蓮縣、台東縣。大豪雨地區:高雄市、屏東縣。
超大豪雨特報警戒區:花蓮縣、台東縣
大豪雨特報警戒區:高雄市、屏東縣
豪雨特報警戒區:宜蘭縣
大雨特報警戒區:基隆市、台北市、新北市、桃園市、新竹縣、台中市、南投縣、嘉義縣、台南市

另外,中央氣象署也於17時7分,針對「台東縣」發布大雷雨即時訊息,持續時間至18時0分;請慎防劇烈降雨、雷擊、9級以上強陣風,以及低能見度。