強颱樺加沙開「惡魔之眼」 專家讚:超紮實完美

聽新聞
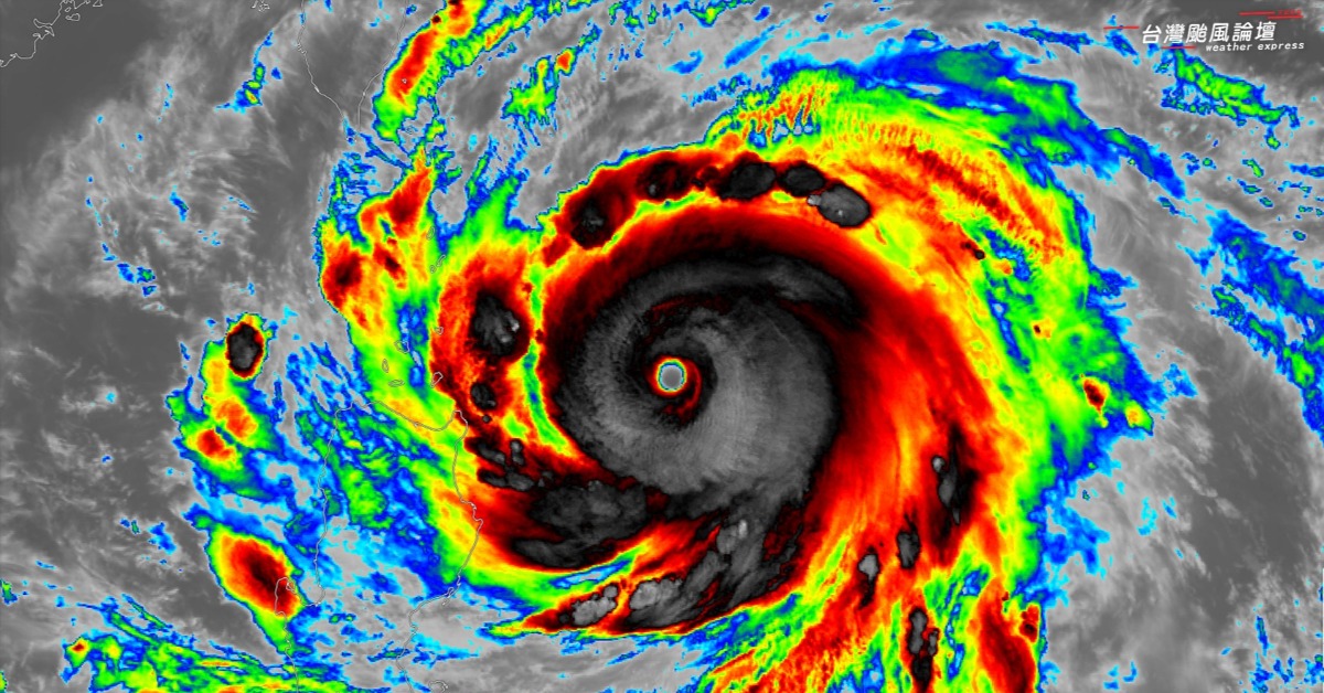
強颱樺加沙結構完整且巨大。(圖/翻攝自台灣颱風論壇|天氣特急臉書)
強颱樺加沙結構完整且巨大。(圖/翻攝自台灣颱風論壇|天氣特急臉書)

強颱樺加沙來勢洶洶,各地民眾馬不停蹄準備防颱。稍早颱風專家分享一張圖片,大讚樺加沙非常紮實、完美,網友看了嚇得直呼「這什麼惡魔之眼?!」

★延伸閱讀★颱風樺加沙強勢襲台! 氣象署曝「這時」遠離

天氣粉專「台灣颱風論壇|天氣特急」分享一張樺加沙的圖片,大讚樺加沙颱風眼清晰可見,核心深層對流深厚、眼牆對稱完整,環流非常紮實、完美,即將達到最顛峰狀態。

★延伸閱讀★樺加沙還在變胖!完整「眼牆雲系」暴風圈觸陸18hr時程曝

圖片中可見樺加沙相當完整且巨大,有顆明顯的颱風眼,灰黑的眼牆,加上混和著黑、紅、綠、藍的外圍環流,壓迫感十足。這張衛星雲圖引發網友熱議,「颱風要開大絕了」「香港人路過,怕怕」「還好只是從南邊遠遠經過,天佑台灣」「這什麼惡魔之眼?!」「結構超級漂亮」「已經好久沒看到結構這麼紮實的颱風了」「它的威力應該會跟它的美一樣驚人」。

颱風襲台 樺加沙 颱風 網友 強颱
上一篇
快防颱!清境、武陵、福壽山等高山農場「9/22休園」
下一篇
颱風進逼+周一休市! 黃昏市場、大賣場湧人潮急採買
廣告 / 請繼續往下閱讀
東森新聞 51 頻道 24 小時線上直播|Taiwan EBC 24h live news